• Haberler
  • Gündem
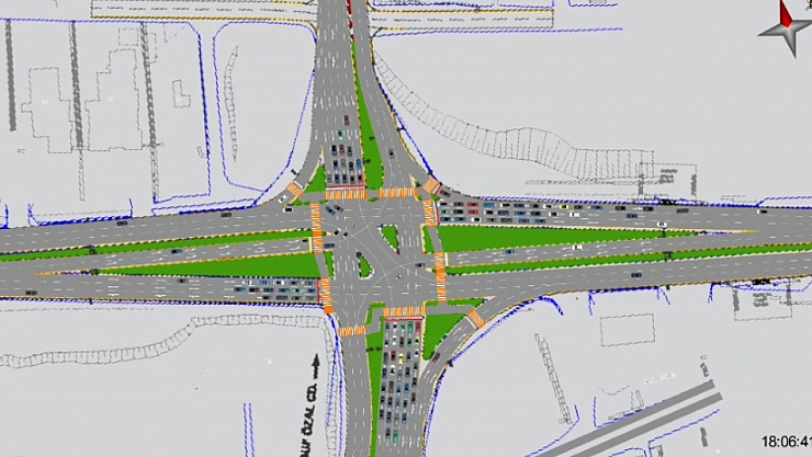
  • Malatya'da Yeni Düzenleme Başladı| Sol şerit trafiğe kapatılıyor, Yüzde 42 Trafik İyileşmesi Bekleniyor….

Malatya'da Yeni Düzenleme Başladı| Sol şerit trafiğe kapatılıyor, Yüzde 42 Trafik İyileşmesi Bekleniyor….

Malatya Büyükşehir Belediyesi, şehir içi ulaşımı daha güvenli, konforlu ve akıcı hale getirmek amacıyla kavşaklarda gerçekleştirdiği düzenleme çalışmalarına bir yenisini daha ekliyor.

Malatya'da Yeni Düzenleme Başladı| Sol şerit trafiğe kapatılıyor, Yüzde 42 Trafik İyileşmesi Bekleniyor….
TAKİP ET Google News ile Takip Et
Malatya Net Haber - Bizi Sosyal Medyada Takip Edin!
Yorumlar 7
Abdullah 21 Temmuz 2025 10:05

Battı çıktı yapılsa ışıklar kalksa daha iyi olur mesela istasyon kavşağı SSK kavşağı çoşnuk kavşağına bu şekilde yapılsa Gaziantep çok güzel kavşak çalışması var Ankara'nın var gidip baksaniz şehir rahatlar hizmet yapmak istiyorsanız bu kavşak problemlerini cozunuz tabi halka hizmet yapmak için

İbrahim Turgut Malatya 21 Temmuz 2025 09:47

Yeni düzenleme yi yapan ve akıl eden mühendisin alnından öpülmesi gerekir bugüne kadar böyle rahat bir kavşak olmamıştır . inşallah bu mühendisi el üstünde tutularak değeri bilinir diye düşünüyorum.Buda amirlerinin vijdanina kalmamıştır.Calismalarinda başarıların devamını dilerim Rabbim yar ve yardımcınız olsun inşallah.

HASAN 21 Temmuz 2025 08:57

Zavallı Malatya bürokratları kim bunlar valisi, belediye başkanı, millet vekilleri STK'lar sen daha bir kelebek, üst geçit yada alt geçit yapamıyorsan bırak git elbet bunları yapacak bir beyin gelir.

Onur ozky 20 Temmuz 2025 23:23

Başkan başkan hadi alt geçit üst geçit yapın demiyoruz Malatya layık değil demekki böyle şeylere bari cuma akşamı başlayıp pazar bitirinsene Zaten 1 ay oldu orduzudan araştırmaya kaplamayı yarım bile edemediniz bakın kaplama diyorum öyle sıfır asfalt değil. Yakıt pahalı hava sıcak bu ne rezilliktir yahu saatlerce bekliyor insanlar. Nedir bu malatyalının çektiği sizden Ama hakkını yemeyelim gelmiş geçmiş en çalışkan belediye ve başkan demi alkışşşşş

kadir 20 Temmuz 2025 17:00

battalgazi kavşağında lokantalarda yemek yiyenler yolu daraltıyor belediye önünden kavşağa kadar park yasaklansa görün nasıl açılıyor yetkililer resmen görmezden geliyor malatya yapılır ancak bu bozuk zihniyet düzelmez kural dinleyen yok devlet trafik konusunda resmen saklanmış... bakan gelince trafik ortaya çıkıyor

Vatandaş Rıza 20 Temmuz 2025 16:39

Malatya'da trafik kurallına, hakkına, hukuğuna kimsenin uyma gibi bir derdi yok, benciillik bir kural ise o işliyor. Temizlikte Hindistan'la yarışıyorlar, sokağa aksıran, tüküren mi dersin, eline ne geçerse çevresine atan mı dersin. Depremle birlikte sanki Malatya'da yaşanlar gitti, yerine Hindistan'da Afganistan'da gelenler doldurdu.

Malatyali 20 Temmuz 2025 12:24

Malatya trafiğinin qnasi ağlamış coştuk ile et balık kurumu arası 1 saatte gidiliyor orda da çalışma balaslarsa 3 saati bulur. Allah qkil fikri versin sami baskan sen hiç bir şeyden anlamıyorsun seni kim bu şehrin başına bela etti.

Bakmadan Geçme